N Jacob Smart Boulevard Ridgeland, SC 29936

Other MLS #: 191757 Courtesy Of Principal Advisors

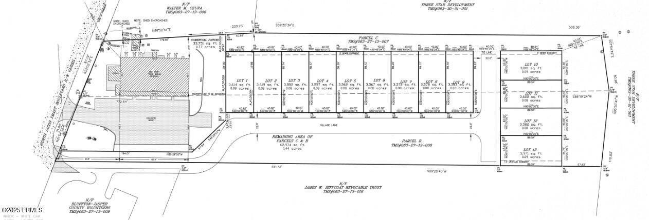
Property InformationDescription

This 2.53-acre parcel is a rare, shovel-ready opportunity located just off I-95 in the heart of Downtown Ridgeland. Recently subdivided and approved for a 13-lot single-family residential development, the property is fully cleared and features a dedicated curb cut with direct access to Jacob Smart Boulevard. Extensive infrastructure improvements have already been made, including sewer lines installed on-site (a $120,000+ investment), along with readily available water and electricity. Zoned T4 under Jasper County's code, the site allows for a variety of uses including residential, retail, office, and more. As the commercial hub of Jasper County-South Carolina's fastest-growing county-this property offers an exceptional opportunity for builders, developers, and investors.
MORTGAGE CALCULATOR

Features

  • MLSID: 191757

MAP & DIRECTIONS

Get Directions
N Jacob Smart Boulevard, Ridgeland, SC 29936
View Directions
Copyright © 2026 Lowcountry Regional MLS. All rights reserved. All information provided by the listing agent/broker is deemed reliable but is not guaranteed and should be independently verified. Information being provided is for consumers' personal, non-commercial use and may not be used for any purpose other than to identify prospective properties consumers may be interested in purchasing.