910 Highway 17 Business South Surfside Beach, SC 29575

Other MLS #: 2601763 Courtesy Of The Litchfield Company Real Estate Sales

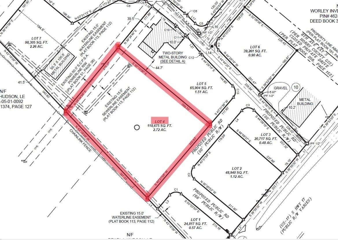
Property InformationDescription

We plan to start construction March 1, 2026 and finish infrastructure 6-8 months. The new buyer can go ahead and start engineering and permitting their site during this process. We are having the main spine road come in directly at the traffic light into the development. Great access and exposure. The seller is installing all of the main roads within the development, curb cuts, utilities stub out and master stormwater. The site is cleared as well. These lots will be pad ready. 3 available locations in this site. 2.72 total acres, retention pond is 0.40 ac with 2.32 ac usable.
MORTGAGE CALCULATOR

Features

  • Architecture Style: Other
  • MLSID: 2601763

MAP & DIRECTIONS

Get Directions
910 Highway 17 Business South, Surfside Beach, SC 29575
View Directions
Copyright © 2026 Coastal Carolina Association of REALTORS®. All rights reserved. All information provided by the listing agent/broker is deemed reliable but is not guaranteed and should be independently verified. Information being provided is for consumers' personal, non-commercial use and may not be used for any purpose other than to identify prospective properties consumers may be interested in purchasing.